Działka  pokojowe na Sprzedaż

pokoje 3126m²

499 000 PLN

Działka 31,26 arów – Kraków, Branice (Nowa Huta) 3126 m²

499 000 PLN Negocjuj cenę >

MAPA

1/18

499 000 PLN WYŁĄCZNOŚĆ   

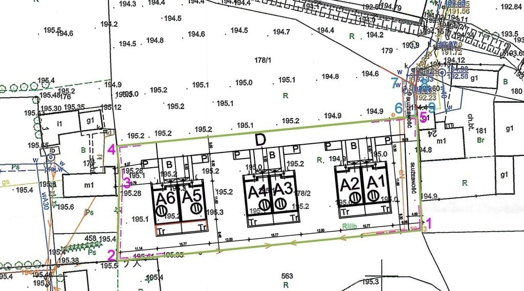
Na sprzedaż działka 3 126 m² (0,3126 ha) – Kraków, Branice (Nowa Huta)
Działka ewidencyjna nr 178/2, obręb Branice

Szukasz dużej działki w Krakowie z realnym potencjałem na przyszłość?

Informacje podstawowe:
  • Powierzchnia: 3 126 m² (0,3126 ha)
  • Działka: 178/2
  • Dostęp do drogi gminnej - ul. Kąkolowej - 4metrowa służebność przejazdu i przechodu przez działki prywatne wpisana w KW
  • Media (prąd/woda/gaz/kan.) przy działce
  • Przeznaczenie: Budownictwo jednorodzinne. Procedowana jest aktualnie WZ-ka. Po otrzymaniu decyzji WZ cena działki ulegnie podwyższeniu.

Lokalizacja
Branice (Nowa Huta) – okolica z przewagą terenów otwartych i nowej zabudowy, a jednocześnie z wygodnym dojazdem do Krakowa.
W sąsiedztwie osiedla nowych domów jednorodzinnych, bliźniaków oraz zabudowa szeregowa.

Dlaczego warto:
  • Duża powierzchnia 3 126 m² – swoboda zagospodarowania i poczucie przestrzeni
  • Kraków – Branice: zielona, spokojna część miasta z rozwijającą się zabudową w sąsiedztwie
  • Blisko ul. Igołomskiej – łatwy i szybki dojazd w kierunku centrum i na wschodnią obwodnicę.
  • Regularny kształt ułatwiający optymalne zagospodarowanie terenu, wymiary: ok. 93 m x 34m

Dla kogo?
  • Dla Dewelopera: Idealne wymiary pod budowę kilku domów.
  • Dla Klienta Indywidualnego: Możliwość postawienia rezydencji na dużej, ustawnej działce z dala od miejskiego zgiełku, ale w granicach Krakowa.

Ta nieruchomość daje komfort metrażu, prywatność i elastyczność wykorzystania – idealna jako grunt pod zabudowę lub jako lokata kapitału.



Pokaż więcejmniej  

 
Ogólne warunki:
Cena:499 000 PLN
Waluta:PLN
Cena za m2:160 PLN
 
Numer oferty:
CRM:34964539962

Pokaż więcejmniej  

Masz pytania? Napisz!

Przepisz kod captcha:

Polecamy podobne oferty

Zapisz się na powiadomienia o podobnych ofertach

Przepisz kod captcha:

Zaktualizowaliśmy naszą Politykę Prywatności.

Nowe zapisy w Polityce Prywatności wynikają z konieczności dostosowania naszych działań oraz dokumentacji do nowych wymagań europejskiego Rozporządzenia o Ochronie Danych Osobowych (RODO), które jest stosowane od 25 maja 2018 r.

Zaawansowane