Działka  pokojowe na Sprzedaż

pokoje 1001m²
WIELKOPOLSKIE poznański ul. Słoneczna

340 000 PLN

Działka budowlana Pobiedziska Jezioro Biezdruchowo 1001 m²

340 000 PLN Negocjuj cenę >

WIELKOPOLSKIE poznański ul. Słoneczna MAPA

1/11

340 000 PLN WYŁĄCZNOŚĆ   

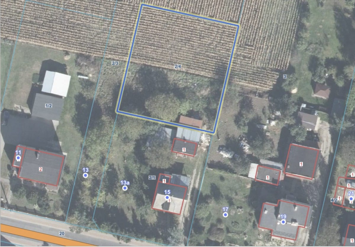
Działka budowlana w Pobiedziskach, ulica Słoneczna (druga linia zabudowy)

Ulica Słoneczna w Pobiedziskach to spokojna okolica mieszkaniowa, jest popularną lokalizacją inwestycyjną, znaną m.in. z zabudowy jednorodzinnej i osiedla Słoneczneg, położona blisko centrum miasta oraz głównych atrakcji regionu.
W pobliżu znajduje się Skansen Miniatur Szlaku Piastowskiego, Gród Pobiedziska, a także liczne jeziora (np. jezioro Biezdruchowo - 700 m, Lednica) i tereny rekreacyjne. Okolica oferuje łatwy dostęp do punktów usługowych i trasy kolejowej Poznań-Gniezno.

Atrakcje w bezpośredniej okolicy (Pobiedziska i bliska okolica):
Skansen Miniatur Szlaku Piastowskiego - miniatury najważniejszych zabytków Szlaku Piastowskiego w skali 1:20.
Gród Pobiedziska - park rozrywki z makietami machin oblężniczych, zbrojownią i atrakcjami dla dzieci.
Jezioro Biezdruchowo - popularne miejsce rekreacyjne w samym mieście.
Promno (ok. 4 km) - stacja kolejowa i popularne tereny spacerowe, a także Rezerwat przyrody Promno.
Jezioro Lednica i Ostrów Lednicki (ok. 7 km) - miejsce chrztu Polski, Muzeum Pierwszych Piastów

Udogodnienia i lokalizacja:
Komunikacja: Dobry dostęp do stacji kolejowej w Pobiedziskach (pociągi do Poznania i Gniezna) oraz drogi krajowej nr 5.
Sklepy i usługi: W pobliżu centrum Pobiedzisk dostępne są markety (np. Dino, Biedronka), usługi medyczne oraz szkoły.
Rekreacja: Liczne ścieżki rowerowe i tereny leśne w gminie Pobiedziska.


Dane dotyczące działki: 

powierzchnia: 1001 m
obwód działki: 127 m
szerokośc działki: 30 m
długość działki: 33 m

Działka niezagospodarowana, płaska, w kształcie prostokąta.

MPZP/ 5MN

media:
woda, prąd, gaz, kanalizacja - w drodze






Pokaż więcejmniej  

 
Ogólne warunki:
Cena:340 000 PLN
Waluta:PLN
Cena za m2:340 PLN
 
Numer oferty:
CRM:34964547083

Pokaż więcejmniej  

Masz pytania? Napisz!

Przepisz kod captcha:

Polecamy podobne oferty

Zapisz się na powiadomienia o podobnych ofertach

Przepisz kod captcha:

Zaktualizowaliśmy naszą Politykę Prywatności.

Nowe zapisy w Polityce Prywatności wynikają z konieczności dostosowania naszych działań oraz dokumentacji do nowych wymagań europejskiego Rozporządzenia o Ochronie Danych Osobowych (RODO), które jest stosowane od 25 maja 2018 r.

Zaawansowane