Działka  pokojowe na Sprzedaż

pokoje 1613m²
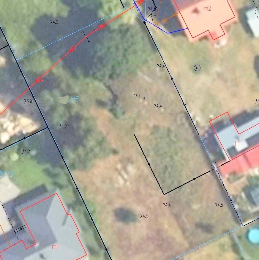
MAZOWIECKIE nowodworski ul. Świerkowa

398 000 PLN

Otulina Kampinosu dobra komunikacja, infrastukturą 1613 m²

398 000 PLN Negocjuj cenę >

MAZOWIECKIE nowodworski ul. Świerkowa MAPA

1/16

398 000 PLN WYŁĄCZNOŚĆ   

Oferta w przygotowaniu.
Oferujemy działkę 1600 m2, z pięknym kasztanowcem. Wkrótce doprowadzona będzie kanalizacja.

Sowia Wola to wieś sołecka w gminie Czosnów, położona w woj. mazowieckim — ok. 6 km od Czosnowa, gdzie jest rozbudowana pełna infrastruktura społeczna, około 8 km od Nowego Dworu Mazowieckiego, ok. 15 km do Portu lotniczego w Modlinie i około 30 km od Warszawy.
To teren z zabudową mieszkaniową i podmiejską, popularny w ostatnich latach do osiedlania się ludzi pracujących również w Warszawie. W okolicy powstaje nowoczesna zabudowa jednorodzinna. Jest bardzo ardzo bliski dostęp do prądu. Wkrótce teren bdzie posiadał kanalizację. Dziełak położona jest ok 150 m od drogi powiatowej (dojazd droga utwardzoną,  udział w drodze dojazdowej - 1.000,- zł)
Sowia Wola leży blisko obszarów leśnych w otulinie Kampinoskiego Parku Narodowego, co daje duże możliwości pieszych spacerów, wycieczek rowerowych i kontaktu z naturą. W okolicy znajdują się też różne lasy i rezerwaty przyrody o charakterze rekreacyjno-edukacyjnym.
 
Komunikacja i dojazd samochodem - dobry dojazd drogowy, bo leży przy lokalnych asfaltowych drogach i w pobliżu większych tras, co ułatwia codzienne dojazdy do Czosnowa, Nowego Dworu Mazowieckiego czy Warszawy.

Komunikacja publiczna realizowana jest głównie przez gminne linie autobusowe (gmina Czosnów), które łączą Sowią Wolę z Czosnowem i innymi miejscowościami w gminie. Kursy bywa ich kilka dziennie (szczególnie rano i po południu) 

 Edukacja - Publiczna Szkoła Podstawowa w Sowiej Woli (ul. Szkolna 108) — szkoła podstawowa dla dzieci z miejscowości i okolicy.

Sklepy - lokalne sklepy spożywcze i usługowe (np. sklep spożywczy przy ul. Spacerowej).
Apteka - jest punkt apteczny (apteka lokalna) 
W miejscowości działa np. Centrum Stomatologiczne (gabinet dentystyczny).

Podstawowa opieka zdrowotna (POZ) oraz większe przychodnie zwykle znajdują się w Czosnowie, Nowym Dworze Mazowieckim lub innych pobliskich miejscowościach 

Tereny rekreacyjne, sprtowe  i bliskość Kampinoskiego Parku Narodowego

W ostatnich latach gmina rozszerza teren rekreacyjny w Sowiej Woli — oczyszczono nowe powierzchnie zielone, pozostawiono naturalne dęby i przygotowano przestrzeń do odpoczynku i spacerów na świeżym powietrzu. To lokalna inicjatywa poprawiająca codzienny komfort mieszkańców i dostęp do zieleni bez konieczności wyjazdu poza wieś.


Stajnia Bobrowy Staw - kilkaset metrów. To duży ośrodek jeździecki w Sowiej Woli oferujący:

zajęcia jazdy konnej, treningi i szkółkę jeździecką, infrastrukturę sportową dla koni i jeźdźców (hale treningowe, padoki, parkury), organizację zawodów jeździeckich i szkoleń oraz imprezy sezonowe.
To bardzo dobra atrakcja zarówno dla miłośników jeździectwa, jak i rodzin szukających aktywnej formy spędzania czasu na świeżym powietrzu.

W samej miejscowości i okolicznych lasach znajdziesz wiele tras spacerowych i terenów zielonych, które sprzyjają codziennym spacerom, biegom czy jazdzie na rowerze. Takie naturalne otoczenie to mocna strona Sowiej Woli jako miejsca do życia — szczególnie jeśli zależy Ci na aktywnościach na świeżym powietrzu.

 Zapraszamy.



Pokaż więcejmniej  

 
Ogólne warunki:
Cena:398 000 PLN
Waluta:PLN
Cena za m2:247 PLN
 
Numer oferty:
CRM:34964540502

Pokaż więcejmniej  

Masz pytania? Napisz!

Przepisz kod captcha:

Polecamy podobne oferty

Zapisz się na powiadomienia o podobnych ofertach

Przepisz kod captcha:

Zaktualizowaliśmy naszą Politykę Prywatności.

Nowe zapisy w Polityce Prywatności wynikają z konieczności dostosowania naszych działań oraz dokumentacji do nowych wymagań europejskiego Rozporządzenia o Ochronie Danych Osobowych (RODO), które jest stosowane od 25 maja 2018 r.

Zaawansowane