Działka  pokojowe na Sprzedaż

pokoje 1700m²
MAZOWIECKIE żyrardowski

170 000 PLN

Działka budowlana z możliwością usług k. Suntago 1700 m²

170 000 PLN Negocjuj cenę >

MAZOWIECKIE żyrardowski MAPA

1/12

170 000 PLN WYŁĄCZNOŚĆ   

W terminie 5-23.02 kontakt przez Whatsapp lub e-mail.

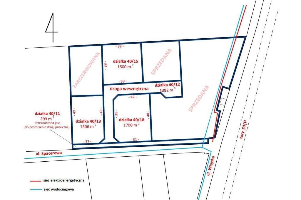
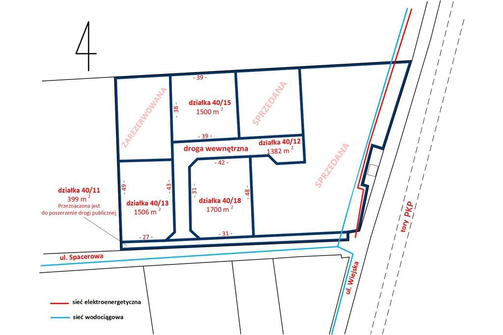
Działka budowlano-usługowa - Marków-Świnice, gm. MszczonówW sąsiedztwie Suntago, największego parku wodnego w Polsce, znajduje się działka budowlano-usługowa nr ewid. 40/18, o powierzchni 1700 m² i wymiarach 35 x 48 . Położenie w pierwszej linii zabudowy, przy ulicy Spacerowej - droga ta jest utwardzoną drogą gminną, co zapewnia wygodny dojazd do działki. Bliskość Suntago i terenów rekreacyjnych sprawia, że to miejsce doskonale nadaje się zarówno pod zabudowę mieszkaniową, jak i usługi turystyczne czy rekreacyjne.MPZP (symbol 5U/MN)Teren objęty jest miejscowym planem zagospodarowania przestrzennego, który przewiduje zabudowę mieszkaniową jednorodzinną oraz usługi - jako przeznaczenie podstawowe. Dopuszczalne funkcje: handel, gastronomia, hotel, pensjonat, biura, zdrowie, rekreacja, drobna wytwórczość, parkingi.WSKAŹNIKI ZABUDOWY- maksymalna powierzchnia zabudowy: 50%- minimalna powierzchnia biologicznie czynna: 30%- maksymalna wysokość budynków: 20 mMEDIAWodociąg miejski oraz sieć elektroenergetyczna w ulicy.DOJAZD I LOKALIZACJA5 km do centrum Mszczonowa7 minut drogi rowerem do SuntagoW otoczeniu zielonych terenów, lasów oraz rozwijających się obszarów rekreacyjnychOferujemy do sprzedaży również sąsiednie działki z tego kompleksu.Lokalizacja zaznaczona bardzo dokładnie. Zapraszam do kontaktu.



Pokaż więcejmniej  

 
Ogólne warunki:
Cena:170 000 PLN
Waluta:PLN
Cena za m2:100 PLN
 
Numer oferty:
CRM:34964497913

Pokaż więcejmniej  

Masz pytania? Napisz!

Przepisz kod captcha:

Polecamy podobne oferty


Warning: Trying to access array offset on false in /home/klient.dhosting.pl/turaleh/tur-nieruchomosci.pl/public_html/wp-content/themes/m/functions-lib.php on line 1288

Warning: Trying to access array offset on false in /home/klient.dhosting.pl/turaleh/tur-nieruchomosci.pl/public_html/wp-content/themes/m/functions-lib.php on line 1290

Zapisz się na powiadomienia o podobnych ofertach

Przepisz kod captcha:

Zaktualizowaliśmy naszą Politykę Prywatności.

Nowe zapisy w Polityce Prywatności wynikają z konieczności dostosowania naszych działań oraz dokumentacji do nowych wymagań europejskiego Rozporządzenia o Ochronie Danych Osobowych (RODO), które jest stosowane od 25 maja 2018 r.

Zaawansowane