Działka  pokojowe na Sprzedaż

pokoje 1500m²
MAZOWIECKIE żyrardowski

150 000 PLN

Działka Budowlana 1,5km od Suntago Wręcza 1500 m²

150 000 PLN Negocjuj cenę >

MAZOWIECKIE żyrardowski MAPA

1/12

150 000 PLN WYŁĄCZNOŚĆ   

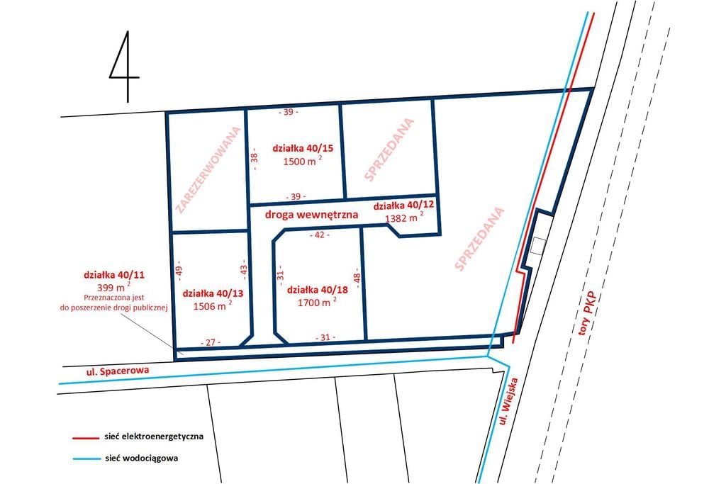
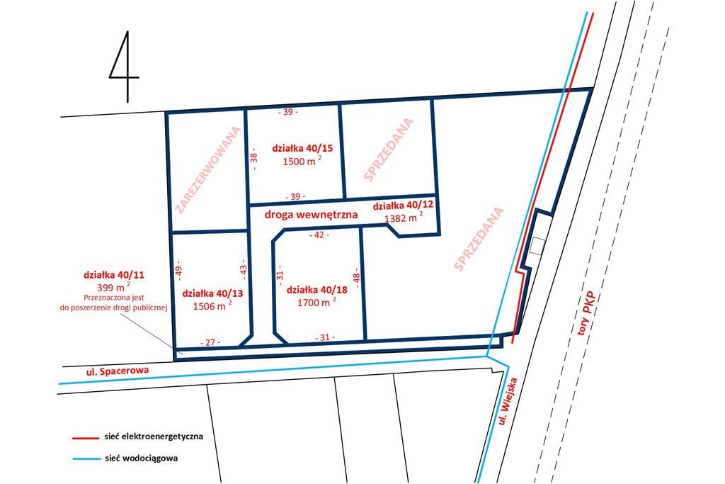
Działka budowlano-usługowa - Marków-Świnice, gm. MszczonówW sąsiedztwie Suntago, największego parku wodnego w Polsce, znajduje się działka budowlano-usługowa nr ewid. 40/15, o powierzchni 1500 m² i wymiarach 39 x 39 .

Położenie w drugiej linii zabudowy od ulicy Spacerowej - droga ta jest utwardzoną drogą gminną, co zapewnia wygodny dojazd do działki. Bliskość Suntago i terenów rekreacyjnych sprawia, że to miejsce doskonale nadaje się zarówno pod zabudowę mieszkaniową, jak i usługi turystyczne czy rekreacyjne. 

MPZP
Teren objęty jest miejscowym planem zagospodarowania przestrzennego (symbol 5U/MN), który przewiduje zabudowę mieszkaniową jednorodzinną oraz usługi - jako przeznaczenie podstawowe. Dopuszczalne funkcje: handel, gastronomia, hotel, pensjonat, biura, zdrowie, rekreacja, drobna wytwórczość, parkingi.
WSKAŹNIKI ZABUDOWY
- maksymalna powierzchnia zabudowy: 50%
- minimalna powierzchnia biologicznie czynna: 30%
- maksymalna wysokość budynków: 20 m

MEDIA
Wodociąg miejski oraz sieć elektroenergetyczna w ulicy.

DOJAZD I LOKALIZACJA
5 km do centrum Mszczonowa 7 minut drogi rowerem do Suntago. W otoczeniu terenów zielonych, lasów oraz rozwijających się obszarów rekreacyjnych.
Oferujemy do sprzedaży również sąsiednie działki z tego kompleksu. Lokalizacja zaznaczona bardzo dokładnie.

Zapraszam do kontaktu i na prezentację w terenie.



Pokaż więcejmniej  

 
Ogólne warunki:
Cena:150 000 PLN
Waluta:PLN
Cena za m2:100 PLN
 
Numer oferty:
CRM:34964497915

Pokaż więcejmniej  

Masz pytania? Napisz!

Przepisz kod captcha:

Polecamy podobne oferty

Zapisz się na powiadomienia o podobnych ofertach

Przepisz kod captcha:

Zaktualizowaliśmy naszą Politykę Prywatności.

Nowe zapisy w Polityce Prywatności wynikają z konieczności dostosowania naszych działań oraz dokumentacji do nowych wymagań europejskiego Rozporządzenia o Ochronie Danych Osobowych (RODO), które jest stosowane od 25 maja 2018 r.

Zaawansowane