Działka  pokojowe na Sprzedaż

pokoje 12200m²
MAŁOPOLSKIE olkuski

700 000 PLN

Działka w Tarnawie 12200 m²

700 000 PLN Negocjuj cenę >

MAŁOPOLSKIE olkuski MAPA

1/11

700 000 PLN WYŁĄCZNOŚĆ   

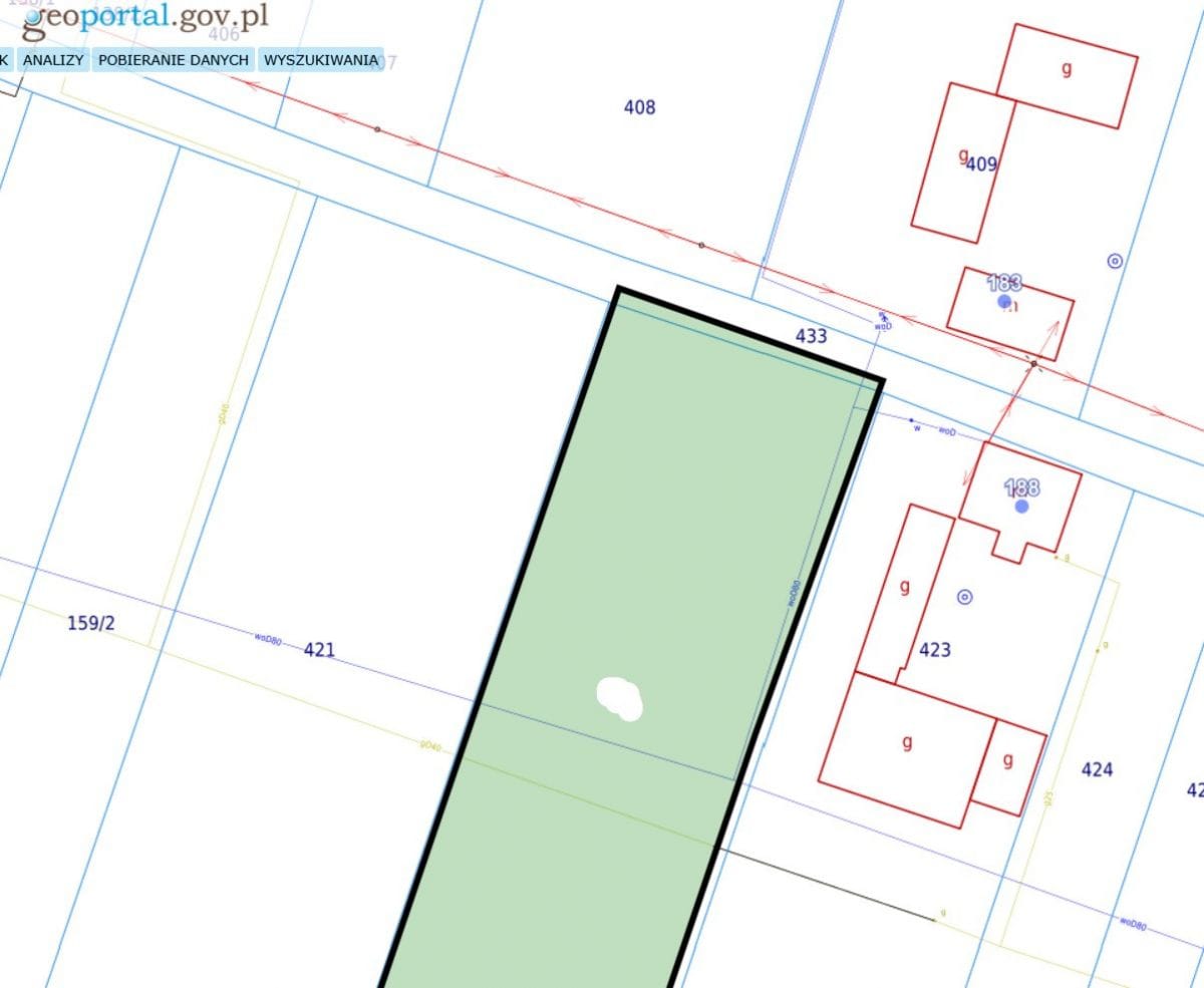
Do sprzedaży działka budowlano - rolna (1,22ha). Działka położona w miejscowości Tarnawa (koło Skały, Ojcowa). Działka o szerokości 31-32m i długości 392m,
Obszar objęty planem zagospodarowania:
Pierwsze około 50m od drogi K.7.MM2 Tereny zabudowy mieszkaniowej, usług i produkcyjnej, tereny położone poza granicami parków krajobrazowych.
Pozostałe RL (teren rolny z możliwością zalesienia)

Na zdjęciach to ta działka, na której od pewnego momentu sa drzewa.



Pokaż więcejmniej  

 
Ogólne warunki:
Cena:700 000 PLN
Waluta:PLN
Cena za m2:57 PLN
 
Numer oferty:
CRM:34964547853

Pokaż więcejmniej  

Masz pytania? Napisz!

Przepisz kod captcha:

Polecamy podobne oferty

Zapisz się na powiadomienia o podobnych ofertach

Przepisz kod captcha:

Zaktualizowaliśmy naszą Politykę Prywatności.

Nowe zapisy w Polityce Prywatności wynikają z konieczności dostosowania naszych działań oraz dokumentacji do nowych wymagań europejskiego Rozporządzenia o Ochronie Danych Osobowych (RODO), które jest stosowane od 25 maja 2018 r.

Zaawansowane