Działka  pokojowe na Sprzedaż

pokoje 2173m²
MAZOWIECKIE Warszawa Białołęka Choszczówka ul. Dwusieczna

2 000 000 PLN

Działka z Warunkami Zabudowy na 4 domy 2173 m²

2 000 000 PLN Negocjuj cenę >

MAZOWIECKIE Warszawa Białołęka Choszczówka ul. Dwusieczna MAPA

1/20

2 000 000 PLN WYŁĄCZNOŚĆ   

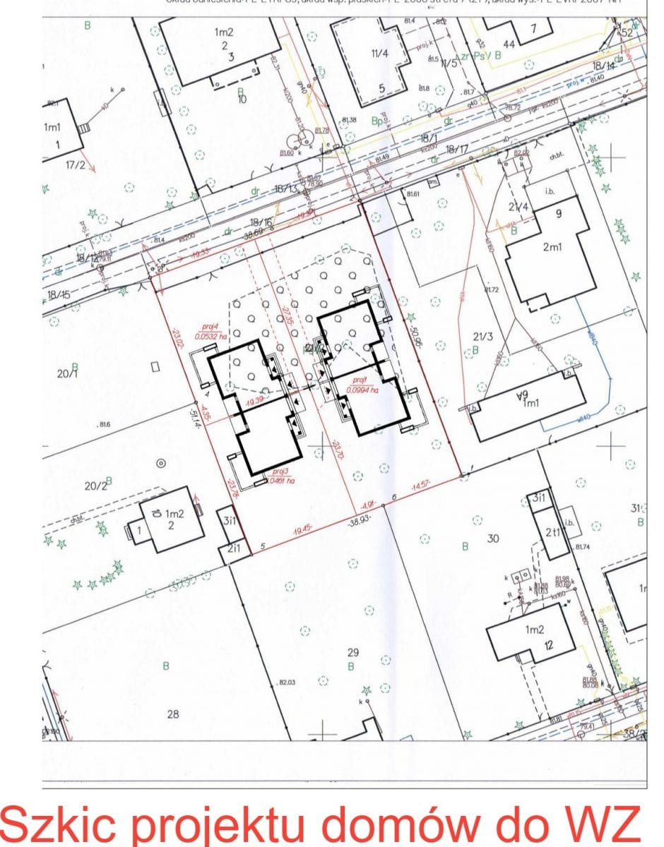
Do sprzedaży działka o powierzchni 2173m2 przy ul. Dwusiecznej, na warszawskiej Choszczówce. Szerokość działki 40m od ulicy, głębokość 51,5m.
Na inwestycje, pod budowę dwóch budynków jednorodzinnych w zabudowie bliźniaczej i jednego budynku jednorodzinnego wolnostojącego dwulokalowego.
Powierzchnia zabudowy to 695m2.
Oczywiście jest to świetna propozycja na zabudowę na dom jednorodzinny również.
Wydana została aktualna Decyzja o warunkach zabudowy, natomiast na tym terenie nie ma obowiązującego MPZP.

Plan zagospodarowania działki w/g Decyzji o warunkach zabudowy:
• Wskaźnik maksymalnej zabudowy 0,23
• Wskaźnik minimalnej powierzchni biologicznie czynnej 60%
• Szerokość elewacji nowej zabudowy 15m z tolerancją do 20%
• Maksymalna wysokość górnej krawędzi elewacji frontowej 12m
• Kąt nachylenia pałaci dachowych od 25 st do 45 st.

Media:
• Woda ujęcie własne, docelowo wodociąg miejski
• Odprowadzanie ścieków- szambo szczelne docelowo kanalizacja miejska
• Energia elektroenergetyczna- sieć miejska.

Działka zlokalizowana przy ulicy nieruchliwej utwardzonej ulicy, w bliskiej odległości od przystanku autobusowego, a co najważniejsze Stacji PKP Choszczówka. Stąd szybko można dojechać pociągami podmiejskimi do Centrum oraz Stacji Metra Dworzec Gdański.
Osiedle Choszczówka na Warszawskiej Białołęce cieszy się ogromnym uznaniem wśród mieszkańców, jako dobre miejsce do zamieszkania. Osiedle ma zorganizowana infrastrukturę - szkoły, przedszkola, sklepy, punkty usługowe. Otoczenie domów jednorodzinnych luźno rozłożonych.
Ale najważniejsze to Lasy Choszczówki ze ścieżkami spacerowymi i rowerowymi oraz placami zabaw, a zimą natomiast szlaki do nart biegowych.



Pokaż więcejmniej  

 
Ogólne warunki:
Cena:2 000 000 PLN
Waluta:PLN
Cena za m2:920 PLN
 
Numer oferty:
CRM:34964538636

Pokaż więcejmniej  

Agnieszka Rochalska

Doradczyni Nieruchomości



Masz pytania? Napisz!

Przepisz kod captcha:

Polecamy podobne oferty

Zapisz się na powiadomienia o podobnych ofertach

Przepisz kod captcha:

Zaktualizowaliśmy naszą Politykę Prywatności.

Nowe zapisy w Polityce Prywatności wynikają z konieczności dostosowania naszych działań oraz dokumentacji do nowych wymagań europejskiego Rozporządzenia o Ochronie Danych Osobowych (RODO), które jest stosowane od 25 maja 2018 r.

Zaawansowane