Działka  pokojowe na Sprzedaż

pokoje 3997m²
ZACHODNIOPOMORSKIE pyrzycki

269 000 PLN

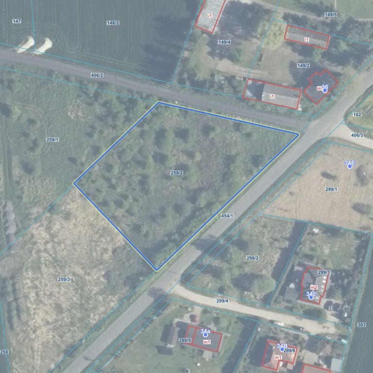
Działka z WZ w Chabowie - 3997 m² 3997 m²

269 000 PLN Negocjuj cenę >

ZACHODNIOPOMORSKIE pyrzycki MAPA

1/21

269 000 PLN WYŁĄCZNOŚĆ   

Masz dość "działeczek", na których słyszysz kichnięcie sąsiada z trzech domów dalej? Szukasz przestrzeni, gdzie Twój pies w końcu się wybiega, a Ty postawisz dom, o jakim marzysz, bez walki z urzędami? Poznaj prawie 4000 m² czystej wolności w malowniczym Chabowie!

To nie jest zwykłe pole – to starannie przygotowany grunt pod Twoją przyszłość. Zobacz, co dostajesz w pakiecie:
  • Warunki Zabudowy (WZ) JUŻ SĄ! Buduj dom jednorodzinny z poddaszem i garażem. Zero czekania miesiącami na "zielone światło" z gminy.
  • Media pod ręką: Prąd i woda czekają w drodze. To ogromna oszczędność czasu i Twoich nerwów na starcie.
  • Asfaltowy dywan: Do działki dojedziesz komfortowo o każdej porze roku – żadnego grzęźnięcia w błocie po jesiennych deszczach.
  • Wymiary Giganta: Kształt trapezu i prawie 40 arów dają Ci pole do popisu. Możesz zabudować aż 30% powierzchni – to 1200 m² pod dachem! (To już niemal rezydencja, a nie zwykły dom).

Wyobraź sobie poranki w Chabowie. Cisza, spokój, malowniczy krajobraz, a Ty pijesz kawę na tarasie, patrząc na swój ogromny ogród, sad, a może nawet własne oczko wodne? Dzięki konieczności budowy przydomowej oczyszczalni ścieków jesteś niezależny i dbasz o ekologię. Masz tu wszystko: infrastrukturę tuż obok (sąsiedzi są, ale w zdrowej odległości!), urok wiejskiego życia i szybki dojazd do Pyrzyc czy Stargardu. To idealne miejsce, by w końcu "odetchnąć pełną piersią".

Taka ziemia w gminie Bielice nie czeka długo na właściciela. Jeśli chcesz poczuć ten klimat osobiście i sprawdzić, gdzie stanie Twój salon, nie zwlekaj!





Pokaż więcejmniej  

 
Ogólne warunki:
Cena:269 000 PLN
Waluta:PLN
Cena za m2:67 PLN
 
Numer oferty:
CRM:34964546581

Pokaż więcejmniej  

Masz pytania? Napisz!

Przepisz kod captcha:

Polecamy podobne oferty

Zapisz się na powiadomienia o podobnych ofertach

Przepisz kod captcha:

Zaktualizowaliśmy naszą Politykę Prywatności.

Nowe zapisy w Polityce Prywatności wynikają z konieczności dostosowania naszych działań oraz dokumentacji do nowych wymagań europejskiego Rozporządzenia o Ochronie Danych Osobowych (RODO), które jest stosowane od 25 maja 2018 r.

Zaawansowane