Działka  pokojowe na Sprzedaż

pokoje 0.08m²
OPOLSKIE oleski ul. Szemrowicka

70 999 PLN

4 Działki budowlane pod Dobrodzieniem! Niska cena! 0.08 m²

70 999 PLN Negocjuj cenę >

OPOLSKIE oleski ul. Szemrowicka MAPA

1/7

70 999 PLN WYŁĄCZNOŚĆ   

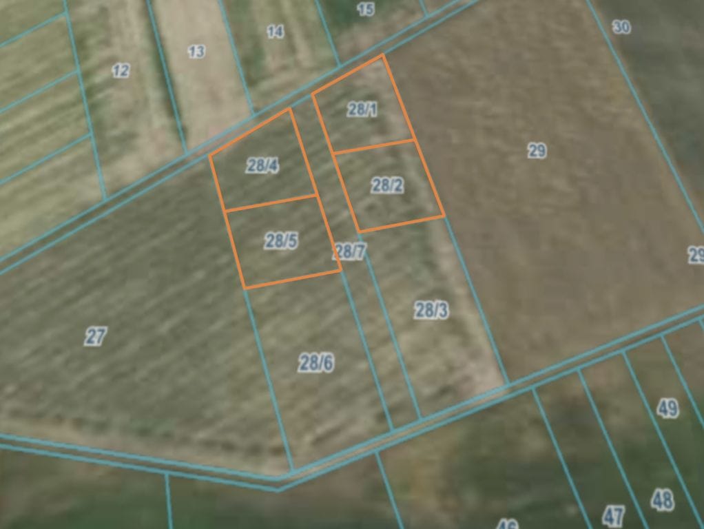
Na sprzedaż 4 atrakcyjne działki budowlane położone w spokojnej okolicy, zaledwie 2 km od centrum Dobrodzień (woj. opolskie).

Numery działek i powierzchnie:

  • 28/1 – 8,45 ara
  • 28/2 – 8,30 ara
  • 28/4 – 8,48 ara
  • 28/5 – 8,30 ara


Pełne prawo własności bez zadłużeń

Każda z działek posiada aktualne warunki zabudowy na dom jednorodzinny, co pozwala na szybkie rozpoczęcie budowy.

Lokalizacja

Nieruchomości znajdują się przy zjeździe z ul. Szemrowickiej, pomiędzy Dobrodzieniem a Warłowem, z bardzo dobrym dojazdem do drogi krajowej nr 46. To idealne połączenie spokojnej, podmiejskiej lokalizacji z wygodnym dostępem do infrastruktury.

Infrastruktura w pobliżu (Dobrodzień):

  • przedszkole
  • szkoła podstawowa
  • liceum
  • markety spożywcze (Dino, Biedronka)
  • lokale gastronomiczne
  • dom kultury
  • kino

To doskonała propozycja dla osób szukających miejsca pod budowę domu w spokojnej okolicy, z szybkim dojazdem do miasta i pełnej infrastruktury.








Pokaż więcejmniej  

 
Ogólne warunki:
Cena:70 999 PLN
Waluta:PLN
Cena za m2:887 488 PLN
 
Numer oferty:
CRM:34964546849

Pokaż więcejmniej  

Masz pytania? Napisz!

Przepisz kod captcha:

Polecamy podobne oferty

Zapisz się na powiadomienia o podobnych ofertach

Przepisz kod captcha:

Zaktualizowaliśmy naszą Politykę Prywatności.

Nowe zapisy w Polityce Prywatności wynikają z konieczności dostosowania naszych działań oraz dokumentacji do nowych wymagań europejskiego Rozporządzenia o Ochronie Danych Osobowych (RODO), które jest stosowane od 25 maja 2018 r.

Zaawansowane